93* 02 maggio 2020
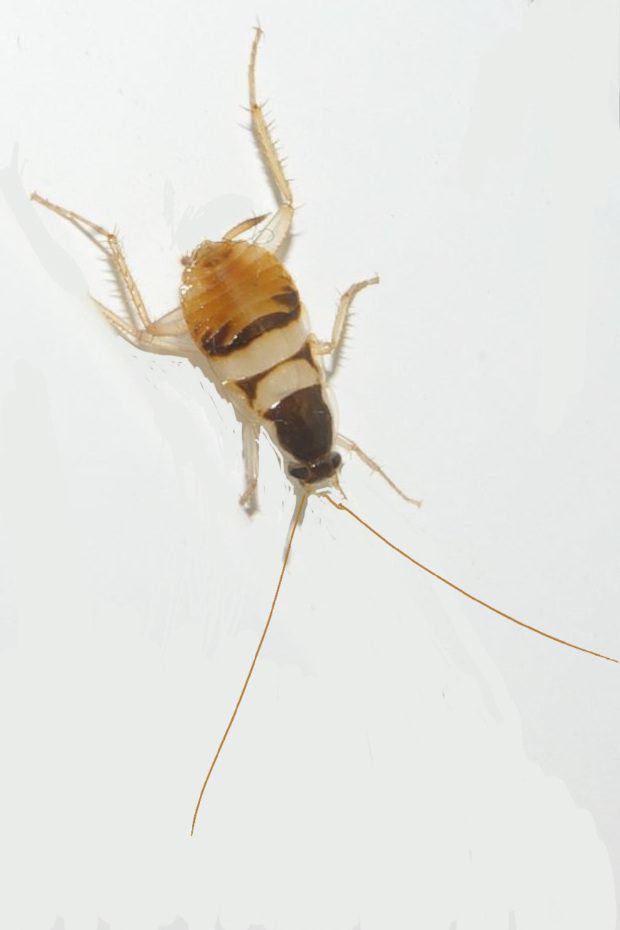
La blatta dei mobili (chiamata così perché può alimentarsi anche di colla di origine animale) o Supella longipalpa è una piccola specie di scarafaggio della famiglia Blattellidae.
È presente in Italia dalla fine degli anni 70.
Il suo colore è marrone chiaro ed è lunga da 1,0 cm a 1,4 cm. Le sue antenne sono lunghe circa una volta e mezzo il corpo.
È caratterizzata da due bande trasversali di colore chiaro su addome e ali. Possono fare brevi voli.
La femmina adulta produce circa 14 ooteche (involucri contenti uova) nella sua vita. Ogni ooteca è lunga 4-6 millimetri e contiene dalle 14 alle 18 uova
È discretamente longeva, con una vita che può arrivare a oltre 9 mesi.
La sua origine è africana ed è presente in Nord America e in Europa.
Rispetto a Blattella germanica, l’altro scarafaggio presente nelle parti calde delle abitazioni, bar, ristoranti, aziende alimentari, ecc. necessita meno umidità e si adatta bene ad ambienti caldi e asciutti.
Come la blatta orientale e la blattella germanica non ama l’esposizione alla luce.
È quindi attiva negli orari notturni.
La sua comparsa in orario diurno, come per le altre specie, è sinonimo di una infestazione importante.
La blatta dei mobili è onnivora e danneggia anche materiali come francobolli, rilegature di libri antichi, tessuti sintetici e carta da parati.
Le derrate alimentari di cui si ciba vengono inquinate dalle ooteche, dalle esuvie (le mute) e dagli escrementi. Può essere vettore di microrganismi patogeni.
È senz’altro un insetto target da monitorare nei protocolli haccp per il settore alimentare, ma da debellare pure dalle abitazioni e condomini.
La tecnica utilizzata da Ongaro Disinfestazioni nella disinfestazione contro questo insetto è simile a quella adottata per gli altri scarafaggi. Impatto ambientale nullo e risultati definitivi.
Vuoi saperne di più? Scrivici senza impegno!

